Skip to main content
Subscribe And Support
Header Menu
Politics
Economy
Covid-19
Science
Culture
India
International
Sports
Articles
Videos
हिन्दी
All Articles
Newsclick Articles
All Videos
Newsclick Videos
Politics
Economy
Science
Culture
India
Sports
International
Africa
Latin America
Nepal
Pakistan
Sri Lanka
US
West Asia
About Us
Grievance Redressal Mechanism
All posts
Science
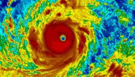
Typhoon Mangkhut More Destructive and Higher in Intensity than Florence?
Sandipan Talukdar
International
Russia blames Israel for Latakia incident over Syria
Newsclick Report
Politics
Was CM Fadnavis Really Unaware of “Pre-planned” Bhima Koregaon Violence?
Newsclick Report
India
J&K: Authorities Prepare for Local Body Elections Amid Boycott, Fragile Security Situation
Suhail Bhat
India
Shanta Gokhale's speech at the Ooty Literature Festival
Shanta Gokhale
Loading more...